We use cookies and other technologies for functionality, security, and to provide you with a personalized experience on our online services. By continuing to use our online services, you agree to our Privacy Policy and Terms of Use. For information on how to adjust your privacy settings, visit our Cookie Policy.
Dismiss
Home BC Greater Kelowna Central Okanagan West Kelowna Lakeview Heights
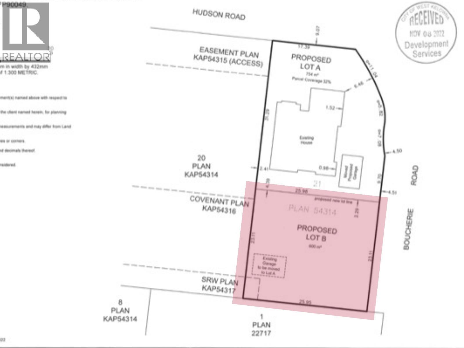
2640 Boucherie Road
Directions Print
2640 Boucherie Road $419,900
$419,900
Hide
Favourite

2640 Boucherie Road
West Kelowna, British Columbia V1Z1J2

MLS® Number: 10362576

Listing Description

FULLY SERVICED LOT in the heart of West Kelowna’s Wine Belt, Lakeview Heights! Subdivision is awaiting final registration, and this property is serviced and ready for up to 4 units. With the City of West Kelowna adopting new BC regulations, R1 zoning now allows duplexes with secondary suites. The lot’s wide frontage supports an easy build with up to 50% site coverage and 3 stories in height. Build a duplex, a single-family home with suites, or design to fit your vision. Located steps from wineries, wine trails, schools, shopping, beaches, and just minutes to downtown Kelowna, this location blends lifestyle and strong future value. With no builder restrictions, no construction deadlines, and flexible building guidelines, you can create at your own pace. The seller is ready to make it happen: an excellent lot in a prime area, priced for today’s market. (39208283)

Property Summary

Property Type
Vacant Land
Building Type
Other
Neighbourhood Name
Lakeview Heights
Title
Freehold
Land Size
0.15 ac|under 1 acre
Annual Property Taxes
$0
Time on REALTOR.ca
93 days

Building

Building Features
Features
Level lot, Corner Site, Irregular lot size
Utilities
Utility Type
Cable (At Lot Line), Electricity (Available), Natural Gas (At Lot Line), Telephone (At Lot Line), Sewer (Available), Water (At Lot Line)
Utility Sewer
Municipal sewage system
Water
Municipal water
Neighbourhood Features
Amenities Nearby
Airport, Park, Recreation, Schools, Shopping, Ski area

Land

Lot Features
Frontage
75 ft
Landscape Features
Level
Road Type
Gravel road, Paved road
View
Lake view, View (panoramic)
Other Property Information
Access
Easy access
Are you interested in touring this listing?
Request a showing

Similar Listings

Michael Jones