We use cookies and other technologies for functionality, security, and to provide you with a personalized experience on our online services. By continuing to use our online services, you agree to our Privacy Policy and Terms of Use. For information on how to adjust your privacy settings, visit our Cookie Policy.
Dismiss
Home NB Northumberland County Doaktown
Main Street
Directions Print
Main Street $89,900
$89,900
Hide
Favourite

Main Street
Doaktown, New Brunswick E9C1B7

MLS® Number: NB126020

Listing Description

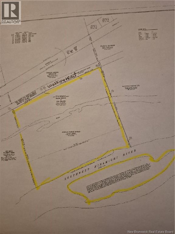
This is possibly the cheapest waterfront with Riparian Rights including fishing that consists of approx.1600 ft +/- and a 1000+/- of island which coincidentally has 50 acres plus of land attached to it and includes Bogan. (28937115)

Location Description

Through Doaktown on Rte 8-Upper side of civic #680 Main Street.Located off Main Street.Call for directions,

Property Summary

Property Type
Vacant Land
Title
Freehold
Land Size
53 ac
Annual Property Taxes
$1,266.75
Time on REALTOR.ca
177 days

Price and Sale History

Date Status Price
Aug 16, 2004 Sale Closed $37,500

Building

Building Features
Features
Treed, Golf course/parkland
Structures
None
Utilities
Utility Sewer
No sewage system
Water
None
Neighbourhood Features
Community Features
Fishing
Amenities Nearby
Golf Course, Recreation Nearby, Shopping

Land

Lot Features
View
River view
Waterfront Features
Waterfront
Waterfront on river
Waterfront Name
Miramichi
Data provided by: New Brunswick REALTORS®
Are you interested in touring this listing?
Request a showing

506-461-9048
506-455-7313

Similar Listings

Mary Kearney