We use cookies and other technologies for functionality, security, and to provide you with a personalized experience on our online services. By continuing to use our online services, you agree to our Privacy Policy and Terms of Use. For information on how to adjust your privacy settings, visit our Cookie Policy.
Dismiss
Home BC Greater Victoria Capital Juan de Fuca (Part 1)
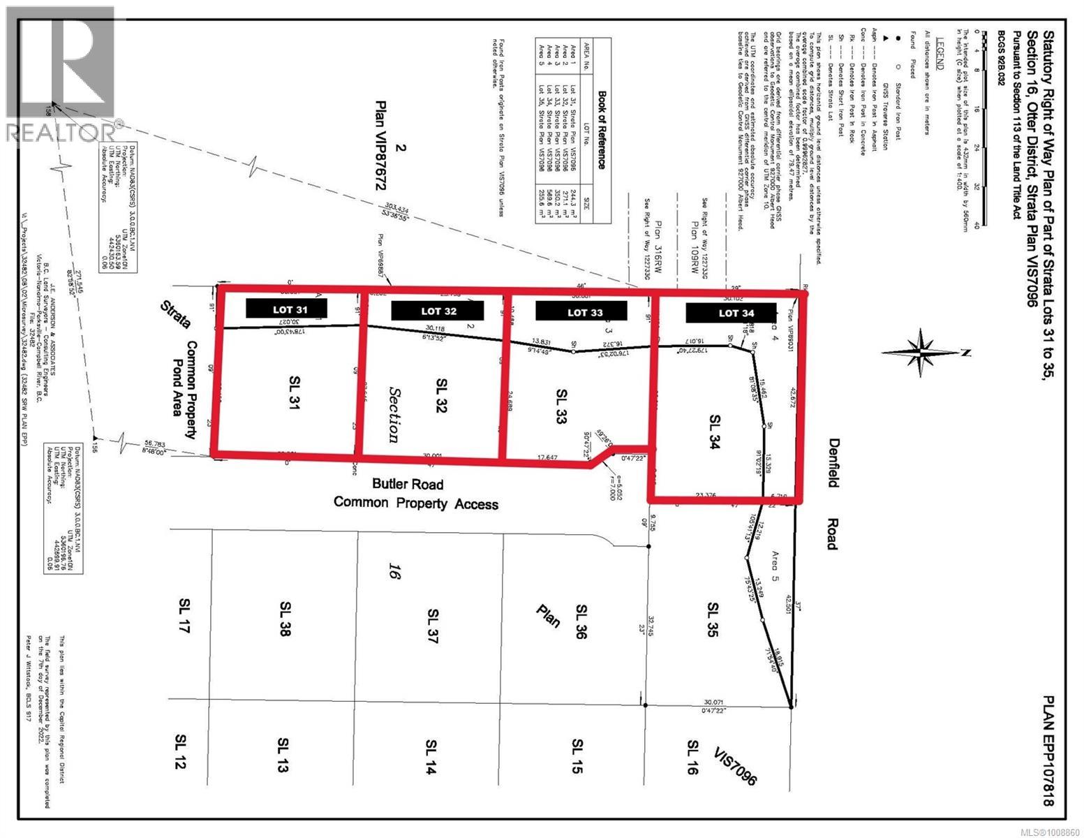
LOT 32 7450 Butler Rd
Directions Print
LOT 32 7450 Butler Rd $2,500/Monthly
$2,500/Monthly
Hide
Favourite

LOT 32 7450 Butler Rd
Sooke, British Columbia V9Z1N1

MLS® Number: 1008860

Listing Description

Industrial-zoned lots for lease in the Sooke Business Park. Lot 32, encompassing approximately 11,282 sq ft. is cleared and levelled. This lot supports a diverse range of industrial uses and additional permitted options, making it an ideal location for establishing or expanding your business operations. Adjacent Lots 33 and 34 are also available for lease, providing further potential for growth and development. Please note that the lot size is approximate and should be verified by the tenant. These lots are also available for purchase, with attractive vendor financing options—call the listing agent for further details. (29700989)

Property Summary

Property Type
Industrial
Neighbourhood Name
Otter Point
Title
Freehold
Land Size
11282 sqft
Time on REALTOR.ca
137 days

Land

Other Property Information
Access
Road access
Zoning Description
M-SBP (Sooke Business Par
Zoning Type
Unknown
Data provided by: Victoria Real Estate Board
Are you interested in touring this listing?
Request a showing

John Morris