We use cookies and other technologies for functionality, security, and to provide you with a personalized experience on our online services. By continuing to use our online services, you agree to our Privacy Policy and Terms of Use. For information on how to adjust your privacy settings, visit our Cookie Policy.
Dismiss
Home ON Greater Windsor Essex County Windsor South Cameron
1878-1918 HURON CHURCH ROAD
Directions Print
1878-1918 HURON CHURCH ROAD $35/square feet
$35/square feet
Hide
Favourite

1878-1918 HURON CHURCH ROAD
Windsor, Ontario N9C2L5

MLS® Number: 25018068

Listing Description

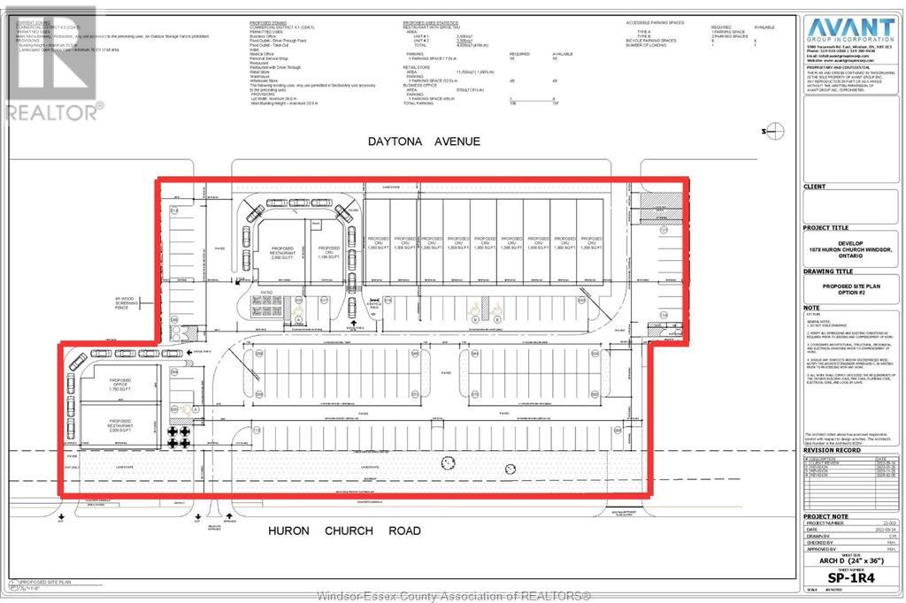
For Lease – Prime Retail Space at 1878-1918 Huron Church Road, Windsor, ON This high-visibility retail plaza is strategically located in the City of Windsor, Ontario, just minutes from the University of Windsor, the Ambassador Bridge, Highway 401, and EC Row Expressway. Featuring approximately 440 feet of frontage on Huron Church Road—one of Windsor’s busiest arterial routes—the property benefits from exceptional exposure and steady vehicular traffic. The plaza is ideally positioned in the heart of the city’s retail corridor, surrounded by major national retailers and adjacent to the Hampton Inn Hotel, with the Holiday Inn located directly across the street. The property offers a total of 18,536 square feet of retail space available for lease, with units starting from 1,350 square feet and up, providing flexibility for a variety of tenant needs. It is situated on a 2.27-acre site, featuring ample on-site parking, and offers excellent visibility and convenient access from Huron Church Road. (53631203)

Property Summary

Property Type
Industrial
Land Size
441 X IRREG / 2.27 AC
Time on REALTOR.ca
156 days

Building

Interior Features
Flooring
Concrete
Building Features
Features
Visual exposure
Fire Protection
Unknown
Heating & Cooling
Cooling
Air Conditioned, Central air conditioning
Heating Type
(Natural gas)
Business
Business Type
Restaurant (Restaurant)

Measurements

Square Footage
18536 sqft
Total Finished Area
18536 sqft

Land

Other Property Information
Zoning Description
CD4
Are you interested in touring this listing?
Request a showing

519-966-7777
519-966-6702
MIKE SLEIMAN