We use cookies and other technologies for functionality, security, and to provide you with a personalized experience on our online services. By continuing to use our online services, you agree to our Privacy Policy and Terms of Use. For information on how to adjust your privacy settings, visit our Cookie Policy.
Dismiss
Home QC Greater Montreal Longueuil Le Vieux-Longueuil Old Longueuil
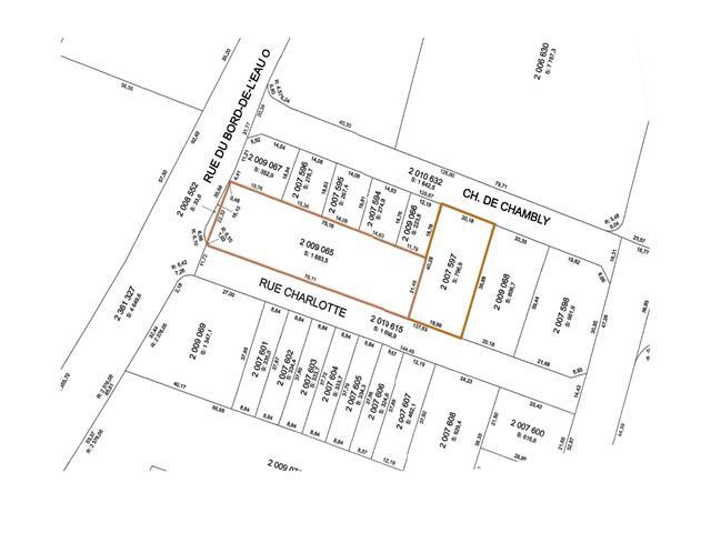
15 Rue Charlotte
Directions Print
15 Rue Charlotte $2,050,000 + GST + QST
Price Change on 01/29/2026
$2,050,000 + GST + QST
-$400,000
$2,450,000
Hide
Favourite

15 Rue Charlotte
Longueuil (Le Vieux-Longueuil), Quebec J4H3K8

MLS® Number: 18684785

Listing Description

VIEUX-LONGUEUIL! Just steps from Chemin Chambly and Rue Saint-Charles Ouest, here is a rare opportunity to acquire two lots totaling 2,480.4 sq.m. (26,699 sq. ft.) with potential for a multi-residential redevelopment (condos) project at the gateway to Montreal, also close to schools, daycares, hospitals, public transportation, restaurants and other sought-after services and amenities. The procedures, plans and characteristics of a multi-residential redevelopment project for 25 to 35 units remain to be approved by the city and to be agreed upon and completed by and at the expense of the buyer. GST/QST must be added to the asking price (46683520)

Property Summary

Property Type
Vacant Land
Neighbourhood Name
Vieux Longueuil
Land Size
2480.4 m2
Time on REALTOR.ca
336 days

Building

Building Features
Features
Corner Site, Flat site
Utilities
Utility Sewer
Municipal sewage system
Water
Municipal water
Neighbourhood Features
Amenities Nearby
Highway, CEGEP, Hospital, Park, Schools, Public Transit

Land

Other Property Information
Zoning Type
Residential
Farm Features
Farm Type
Other
Are you interested in touring this listing?
Request a showing

Similar Listings

Diane Sabourin