We use cookies and other technologies for functionality, security, and to provide you with a personalized experience on our online services. By continuing to use our online services, you agree to our Privacy Policy and Terms of Use. For information on how to adjust your privacy settings, visit our Cookie Policy.
Dismiss
Home AB Camrose Division No. 10
4720 68 Street
Directions Print
4720 68 Street $122,500
$122,500
Hide
Favourite

4720 68 Street
Camrose, Alberta T4V2P7

MLS® Number: A2016846

Listing Description

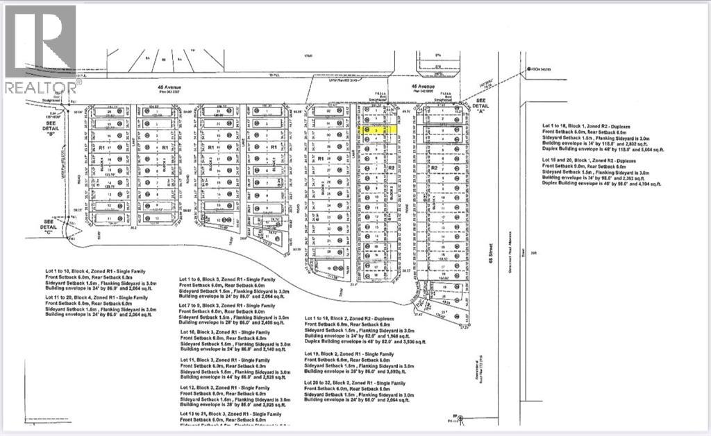
Welcome to West Park's newest development....Lakeside!!! This development is situated close to shopping and dining. You can access the walking path along the lake and build your own home! Don't miss out on an amazing opportunity in 2025. (27224925)

Property Summary

Property Type
Vacant Land
Community Name
West Park
Subdivision Name
West Park
Title
Freehold
Land Size
3538 sqft|0-4,050 sqft
Age Of Building
Age is unknown
Time on REALTOR.ca
1071 days

Building

Building Features
Structures
None
Neighbourhood Features
Amenities Nearby
Shopping

Land

Lot Features
Fencing
Not fenced
Frontage
8.84 m
Land Depth
36.88 m
Other Property Information
Zoning Description
R2
Data provided by: Pillar 9™
Are you interested in touring this listing?
Request a showing

Similar Listings

Tracy Brandingen